It’s a heartbreaking story, as we’ve reported: an ISIS-inspired madman drove a truck at high speeds down Bourbon Street in New Orleans on New Year’s, killing 14 victims and injuring dozens. New details about the attacker and his plot continue to come in as investigators try to piece together what happened and what could...
Author: Mike Kellett (Mike Kellett)
Trans Actor Karla Sofía Gascón, ‘Queer Eye’ Star Johnathan Van Ness Take Over Golden Globes Red Carpet
The Golden Globes red carpet on Sunday night featured actor Jonathan Van Ness, star of Netflix’s Queer Eye, wearing a glamorous dress along with transgender actor Karla Sofía Gascón, who received a nomination in the female acting category for Emila Pérez. Van Ness wore a flowing green gown along with a full-beard that received mixed...
Christian Teacher Gets 6-Figure Last Laugh After School Forced Her Out for Refusing to Use Trans Pronouns | The Gateway Pundit
A Christian middle school teacher from Ohio will receive a sizable payout from her government school employer after administrators tried compelling her to call two self-described transgender students by their preferred names and pronouns. Jackson Local School District settled with the teacher, Vivian Geraghty, Dec. 18 for $450,000 in damages and attorney fees following a...
Nancy Pelosi Debases Herself With Comments on ‘Domestic Violent Extremism’—Just Days After NOLA Massacre – RedState
“Speaker Emerita” Nancy Pelosi (D-CA) continues to sink lower in her apparent quest to wrest the title of “most shameless politician in D.C.” from Joe Biden. After being one of the chief architects of the removal of Biden from the presidential ticket, she continues to spew divisive rhetoric even though her party got shellacked...
Elderly Woman Fights Off Group of NYC Subway Attackers While Heading to Church
Yet another unwitting person was made victim to a New York City subway attack — but the elderly woman that a group of four teens targeted last week did not give up without a fight. Linda Rosa, a 71-year-old retired Metropolitan Transportation Authority (MTA) worker, was on her way to a New Year’s Day church...
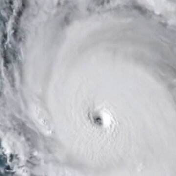
Another Myth Busted: Latest Report Reveals 30 Year Drop in Hurricane Frequency and Power | The Gateway Pundit
This Twitter screenshot shows an intensifying hurricane. (@rawsalerts / Twitter Screen Shot) A new study found that there has been a 30-year drop in hurricane frequency and power. This is a major blow to the junk scientists pushing to ban fossil fuels. For years, the radical left and willing RINOs assured the public that hurricanes...
Suspect in Bourbon Street Attack Traveled to Egypt and Canada in 2023; Added Info on Fire, Weapons – RedState
Authorities in New Orleans held another press conference Sunday morning to provide updates regarding the ongoing investigation into the New Year’s Day attack on Bourbon Street. Louisiana Governor Jeff Landry spoke first, largely focusing on each of the 14 victims, who he identified by name. Landry noted that he...
Montenegro Considers ‘Complete’ Gun Ban After 12 Shot Dead
Montenegro’s National Security Council considered new gun controls Friday, including a “complete” gun ban, in response to the New Year’s Day attack that killed 12 people. The Washington Post noted that the shooter, 45-year-old Aleksandar Martinovic, shot himself after police cornered him. The Associated Press pointed out Martinovic apparently began his rampage following a “bar brawl,” after...
On the Eve of January 6th, 2025, a J6 Air Force Veteran Pens a Letter to President Trump Making the Case for Blanket Pardons. LET’S GET THIS LETTER TO PRESIDENT TRUMP! | The Gateway Pundit
Alan “AJ” Fischer, a J6er and United States veteran that has been persecuted by the fallen Biden Regime, composed a letter on the eve of the four year anniversary of January 6th to President Trump. AJ, a talented writer, makes a case for blanket pardons for all. Please read his letter and share it everywhere...
Legacy Media Disrespects US Victim of ISIS, As New GOP AZ Rep Uses ‘Unconventional’ Docs for Swearing-In – RedState
In case anyone needs one more example to remind us that the media is irredeemable to its core, here it is. As we wrote earlier this week, swearing-in ceremonies have been taking place for members of the House and Senate leading up to the opening of the new Congress. ...


